Марс можно назвать миром, состоящим из двух абсолютно не похожих друг на друга частей. Большая часть северного полушария планеты занята относительно гладкими равнинами. Южное полушарие покрыто высокогорьями, густо усыпанными древними ударными кратерами. Перепад высот между этими двумя регионами составляет несколько километров.
«Место встречи» двух типов ландшафта Красной планеты отмечено характерной гра
Регион Deuteronilus Mensae (фото Mars Express). Источник: ESA/DLR/FU Berlin, CC BY-SA 3.0 IGO
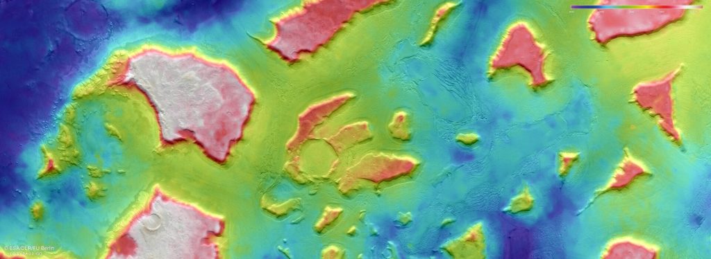
Топографическая карта региона Deuteronilus Mensae. Источник: ESA/DLR/FU Berlin, CC BY-SA 3.0 IGO
На представленных изображениях, полученных европейским аппаратом Mars Express, запечатлен один из участков этой границы, известный под названием «Плато Дейтеронила» (Deuteronilus Mensae). Снимки демонстрируют следы длительной эрозии. По мнению ученых, она была вызвана несколькими глобальными оледенениями, пережитыми планетой в далеком прошлом. Ледники в буквальном смысле прорезали некогда занимавшие эту местность равнины, оставив после себя ряд хаотично разбросанных изолированных скальных формаций.
На дне многих каньонов можно заметить следы потоков, напоминающих селевые. Они состоят из смеси льда и каменных обломков.
Регион Deuteronilus Mensae (визуализация по снимкам Mars Express). Источник: ESA/DLR/FU Berlin, CC BY-SA 3.0 IGO
Регион Deuteronilus Mensae (визуализация по снимкам Mars Express). Источник: ESA/DLR/FU Berlin, CC BY-SA 3.0 IGO
Контекстная карта региона Deuteronilus Mensae. Источник: NASA MGS MOLA Science Team
Данные, собранные американским аппаратом MRO, указывают на то, что большинство формаций плато Дейтеронила содержит много водяного льда. Местами его концентрация достигает 90%. Это значит, что данная территория, возможно, является не просто примером ледникового ландшафта, а остатками древнего ледяного щита. Некогда он покрывал весь этот регион. После очередного изменения марсианского климата большая часть ледника исчезла, обнажив скрытые под ним скалы. Уцелевшие остатки льда сейчас укрыты слоем осадочных отложений.
По материалам: http://www.esa.int